_Chevrolat_BMNH_Hespenheide_FTH_=_Trichoxys.jpg)
Clytus labyrinthicus Chevrolat Specimen Type: syntype Institution: BMNH British Museum Natural History, London, UK Photographer: Henry Hespenheide Collection Location: Oaxaca, Mexico 15660
|
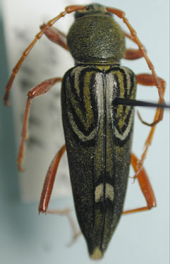
_Chevrolat_BMNH_JAC_=_Trichoxys.jpg)
Clytus labyrinthicus Chevrolat Specimen Type: syntype Institution: BMNH British Museum Natural History, London, UK Photographer: John Chemsak Collection Location: Oaxaca, Mexico 15661
|
_Guerrero_Mexico_UCB.jpg)
Institution: UCB Essig Museum of Entomology, Berkeley, California, USA Photographer: Larry G. Bezark Collection Location: Guerrero, Mexico 14397
|
|