New Search Family, Subfamily and Tribe List

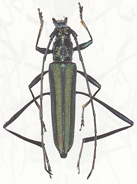
SubFamily Cerambycinae

Tribe Callichromatini
Chloridolum factiosum Pascoe 1869

Institution: LIPI Lembaga Ilmu Pengetahuan, Bogor, Indonesia
Photographer: Larry G. Bezark
43479


71743


Sex: m
Photographer: Joan Bentanachs
Collection Location: Sabah, Borneo
72125

130425