_Jordan_MNHN_Gold_Coast_Ghana_now atrip_ruf_Juhel.jpg)
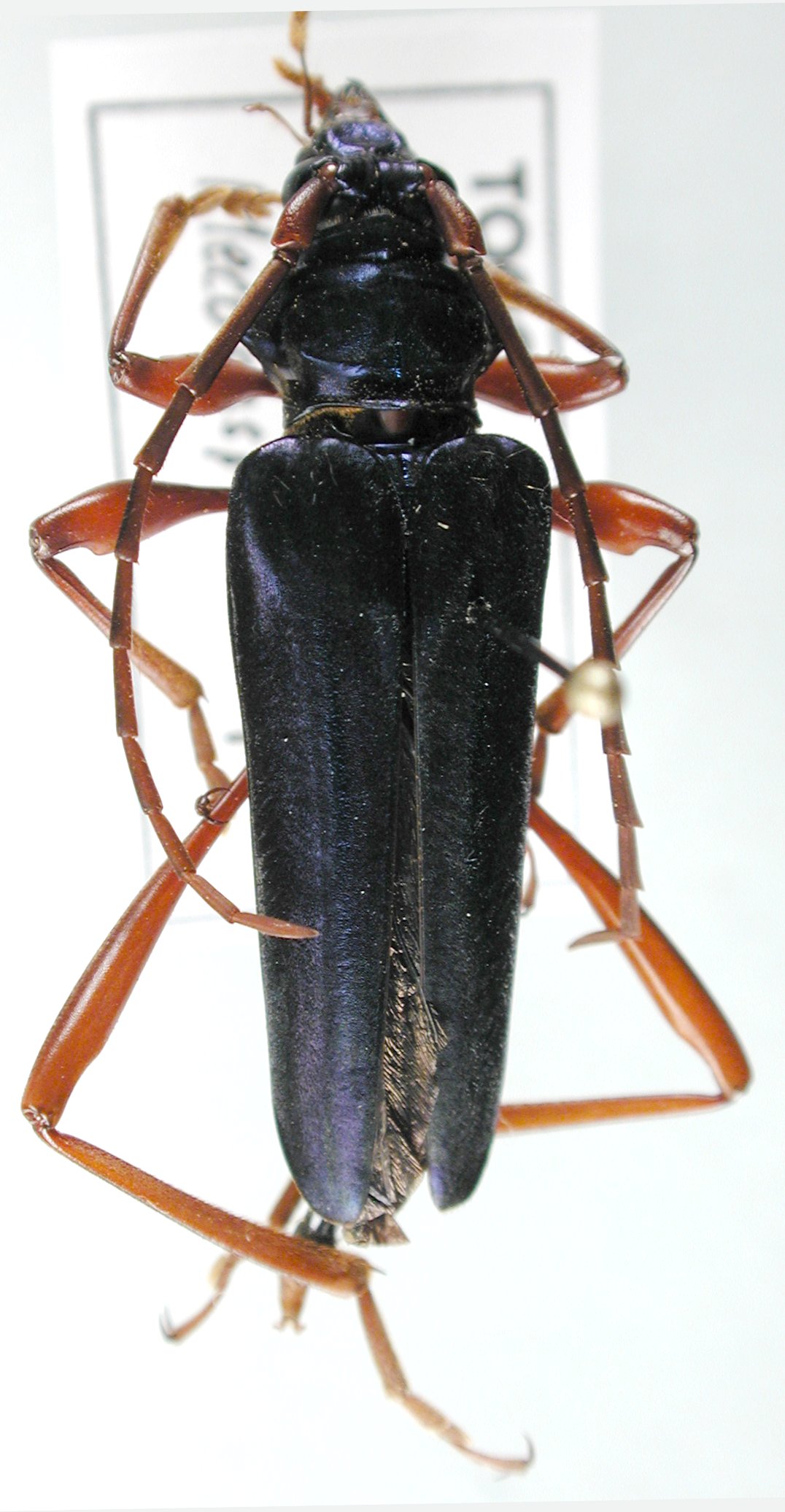
Mecosaspis rufipes Jordan Specimen Type: holotype Sex: f Institution: MNHN Museum of Natural History Paris, France Photographer: Pierre Juhel Collection Location: Gold Coast, Ghana 74831
|
_Jordan_MNHN_Gold_Coast_Ghana_now atrip_ruf_Juhel.jpg)
Mecosaspis rufipes Jordan Specimen Type: holotype Sex: f Institution: MNHN Museum of Natural History Paris, France Photographer: Pierre Juhel Collection Location: Gold Coast, Ghana 74832
|

Institution: JCPC Jim Cope Collection, San Jose, California, USA now at CSCA, Sacramento Photographer: Larry G. Bezark Determiner: Jim Cope Collection Location: Bala, Kloto Province, Togo 98567
|
|