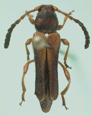
_Giesbert_FSCA.jpg)
Specimen Type: holotype Sex: m Institution: FSCA Florida State Collection of Arthropods, Gainesville, FL, USA Photographer: Mike Thomas Collection Location: Archbold Biological Station, Lake Placid, Highlands County 2532
|
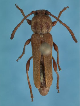
_Giesbert_Florida_FSCA.jpg)
Specimen Type: holotype Sex: m Institution: FSCA Florida State Collection of Arthropods, Gainesville, FL, USA Collection Location: Archbold Biological Station, Lake Placid, Highlands County, Florida 25079
|
_Giesbert_Florida_FSCA.jpg)
Specimen Type: allotype Sex: f Institution: FSCA Florida State Collection of Arthropods, Gainesville, FL, USA Collection Location: Archbold Biological Station, Lake Placid, Highlands County, Florida 25080
|
_Giesbert_FSCA.jpg)
Specimen Type: allotype Sex: f Institution: FSCA Florida State Collection of Arthropods, Gainesville, FL, USA Photographer: Mike Thomas Collection Location: Archbold Biological Station, Lake Placid, Highlands County 2531
|
_Giesbert_Sebring_highlands_Florida_Giesbert_Coll_FSCA.jpg)
Specimen Type: paratype Institution: EMG Ed Giesbert Collection (now at FSCA) Photographer: Mike Thomas Collection Location: Sebring, Highlands County, Florida 2533
|
|