_Chevrolat_BMNH_Hespenheide_FTH_=_Plagionotus.jpg)
Clytus astecus Chevrolat Specimen Type: syntype Institution: BMNH British Museum Natural History, London, UK Photographer: Henry Hespenheide Collection Location: Mexico 15621
|
_Chevrolat_BMNH_JAC_=_Plagionotus.jpg)
Clytus astecus Chevrolat Specimen Type: syntype Institution: BMNH British Museum Natural History, London, UK Photographer: John Chemsak Collection Location: Mexico 15622
|
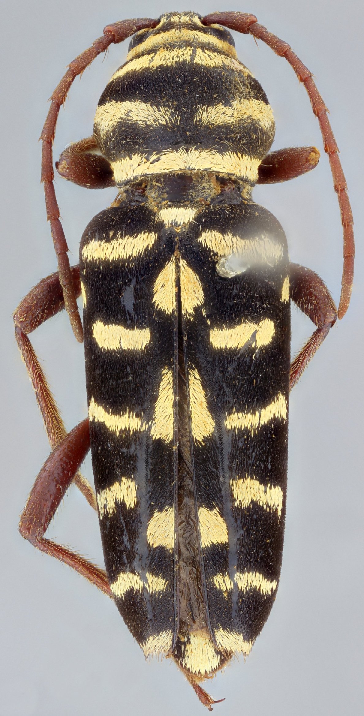
_(Chev)_MZSP_Guanajuato_Mexico_SS.jpg)
Sex: f Institution: MZSP Museu de Zoologia da Universidade de São Paulo, Brazil Photographer: Antonio Santos-Silva Collection Location: Guanajuato, Mexico 68687
|
_(Chev)_MZSP_Guanajuato_Mexico_SS.jpg)
Sex: f Institution: MZSP Museu de Zoologia da Universidade de São Paulo, Brazil Photographer: Antonio Santos-Silva Collection Location: Guanajuato, Mexico 68688
|
_(Chev)_IMQC_La_Tzararacua_Michoacan_Mex_SS.jpg)
Sex: m Institution: IMQC Insectarium de Montréal, Québec, Canada Photographer: Antonio Santos-Silva Collection Location: La Tzararacua, Michoacan, Mexico 66297
|
_Oaxaca_Mexico.jpg)
Institution: LGBC Larry G. Bezark Collection, Sacramento, California, USA Photographer: Larry G. Bezark Collection Location: Oaxaca, Mexico 20634
|
|