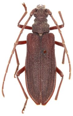
_Gahan_BMNH_Karen_Mtns_Burma_ML.jpg)
Specimen Type: holotype Sex: f Institution: BMNH British Museum Natural History, London, UK Photographer: Meiying Lin Collection Location: Karen Mountains, Burma 58508
|
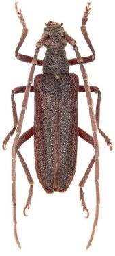
_Gahan_BMNH_Karen_Mtns_Burma_ML.jpg)
Specimen Type: holotype Sex: f Institution: BMNH British Museum Natural History, London, UK Photographer: Meiying Lin Collection Location: Karen Mountains, Burma 58509
|