New Search Family, Subfamily and Tribe List

SubFamily Philinae

Tribe Philini
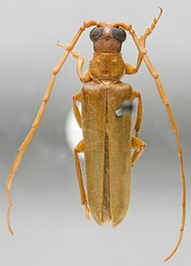
Doesus telephoroides Pascoe 1862

Sex: m
Photographer: Karl Adlbauer
Collection Location: Ethiopia
72293


Sex: f
Photographer: Karl Adlbauer
Collection Location: Ethiopia
72294


Photographer: Nathan P. Lord
49266


Photographer: Boppe
37865

130425