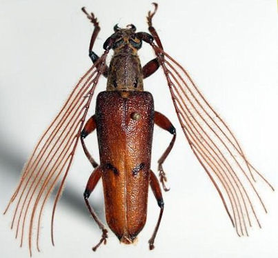
_(Kaup)_PJ_Coll_Mamasa_W_Sulawesi_Indonesia_PJ.jpg)
Sex: m Institution: Phillippe Jacquot Collection Photographer: Philippe Jacquot Collection Location: Mamasa, W Sulawesi, Indonesia 71070
|
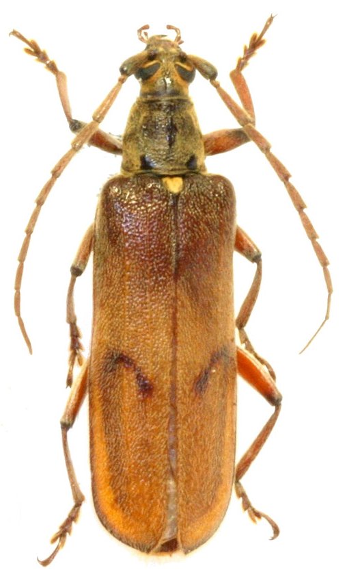
_(Kaup)_MNHN_Pulu_Pulu_S_Sulawesi_Indonesia_PJ.jpg)
Sex: f Institution: Phillippe Jacquot Collection Photographer: Philippe Jacquot Collection Location: Mamasa, W Sulawesi, Indonesia 71071
|

Institution: LIPI Lembaga Ilmu Pengetahuan, Bogor, Indonesia Photographer: Larry G. Bezark Collection Location: Lombok 43408
|

Institution: LGBC Larry G. Bezark Collection, Sacramento, California, USA Photographer: Larry G. Bezark Collection Location: Sulawesi 50111
|

32319
|
|