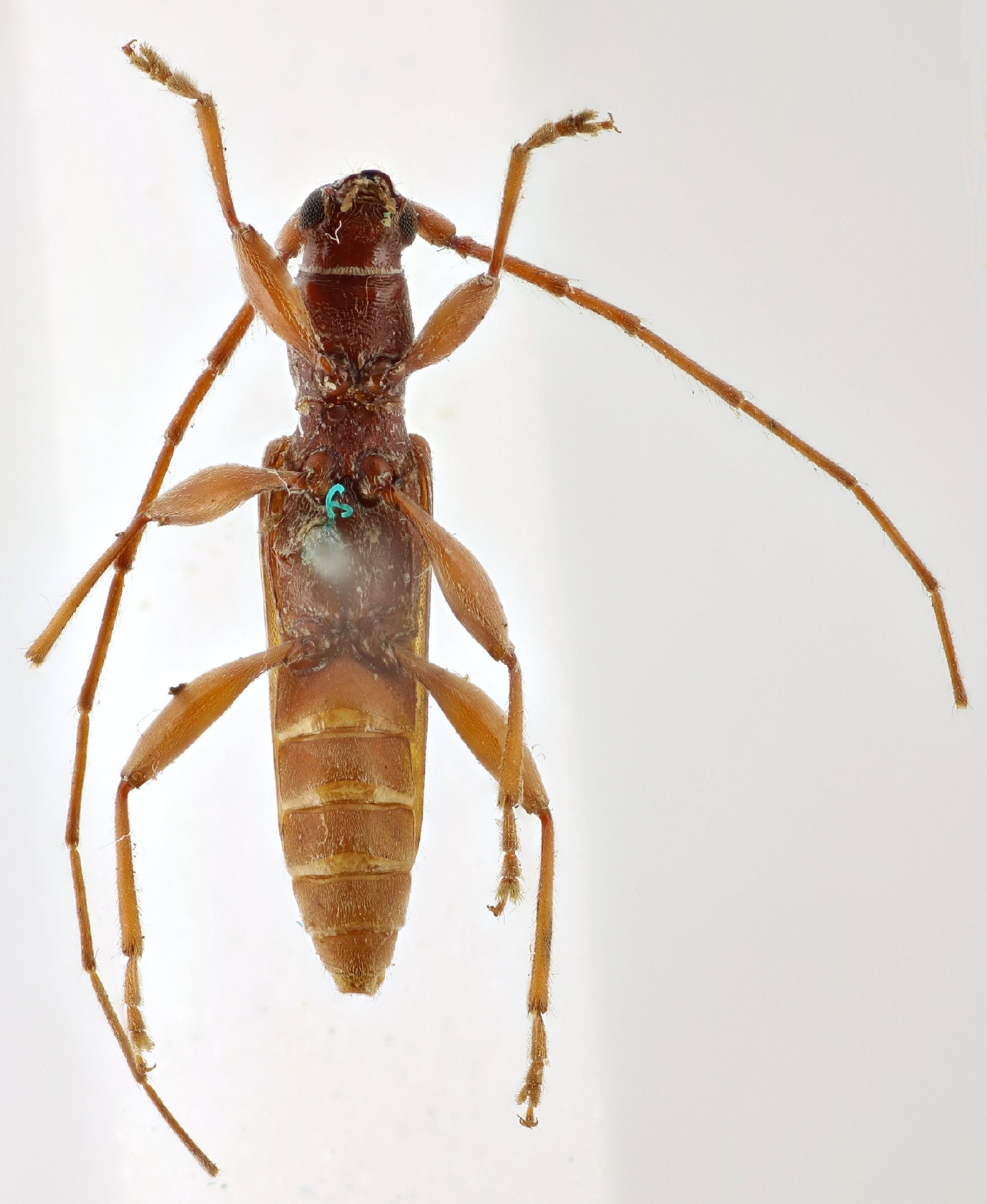
 Newman BMNH Manilla, Luzon, Philippines now Ceresium KM.jpg)
Obrium immite Newman Specimen Type: holotype Institution: BMNH British Museum Natural History, London, UK Photographer: Keita Matsumoto Collection Location: Manilla, Luzon, Philippines 77995
|
 Newman BMNH Manilla, Luzon, Philippines now Ceresium KM.jpg)
Obrium immite Newman Specimen Type: holotype Institution: BMNH British Museum Natural History, London, UK Photographer: Keita Matsumoto Collection Location: Manilla, Luzon, Philippines 77996
|
 Newman BMNH Manilla, Luzon, Philippines now Ceresium KM.jpg)
Obrium immite Newman Specimen Type: holotype Institution: BMNH British Museum Natural History, London, UK Photographer: Keita Matsumoto Collection Location: Manilla, Luzon, Philippines 77997
|
 Newman BMNH Manilla, Luzon, Philippines now Ceresium KM.jpg)
Obrium immite Newman Specimen Type: holotype Institution: BMNH British Museum Natural History, London, UK Photographer: Keita Matsumoto Collection Location: Manilla, Luzon, Philippines 77998
|
 Newman BMNH Manilla, Luzon, Philippines now Ceresium KM.jpg)
Obrium immite Newman Specimen Type: holotype Institution: BMNH British Museum Natural History, London, UK Photographer: Keita Matsumoto Collection Location: Manilla, Luzon, Philippines 77999
|
|