New Search Family, Subfamily and Tribe List

SubFamily Cerambycinae

Tribe Callidiopini
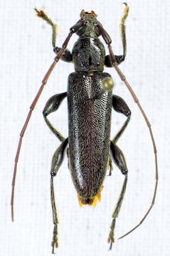
Ceresium aethiops Newman 1842

Photographer: Estan Cabigas
Collection Location: Mindanao, Philippines
34536

130425