_Chev_Havana_Cuba_nowPlacosternus_LGB.jpg)
Clytus difficilis Chevrolat Specimen Type: syntype Institution: BMNH British Museum Natural History, London, UK Photographer: Larry G. Bezark Collection Location: Havana, Cuba 46517
|
_Chev_Havana_Cuba_nowPlacosternus_LGB.jpg)
Clytus difficilis Chevrolat Specimen Type: syntype Institution: BMNH British Museum Natural History, London, UK Photographer: Larry G. Bezark Collection Location: Havana, Cuba 46518
|
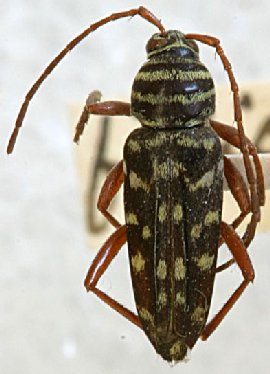
_Chev_Havana_Cuba_nowPlacosternus_LGB.jpg)
Clytus difficilis Chevrolat Specimen Type: syntype Institution: BMNH British Museum Natural History, London, UK Photographer: Larry G. Bezark Collection Location: Havana, Cuba 46519
|
_Casey_USNM_=_Placosternus_difficilis.jpg)
Cyllene filicornis Casey Specimen Type: holotype Sex: m Institution: NMNH United States National Museum, Washington, DC, USA Collection Location: Texas 25733
|
_Casey_USNM_=_Placosternus_difficilis.jpg)
Cyllene reducta Casey Specimen Type: syntype Institution: NMNH United States National Museum, Washington, DC, USA Collection Location: Texas? 25734
|
_Chevrolat_BMNH_Hespenheide_FTH_=_Placosternus.jpg)
Cyllene difficilis Chevrolat Specimen Type: syntype Institution: BMNH British Museum Natural History, London, UK Photographer: Henry Hespenheide Collection Location: Havana, Cuba 15947
|
_Chevrolat_BMNH_JAC_=_Placosternus.jpg)
Cyllene difficilis Chevrolat Specimen Type: syntype Institution: BMNH British Museum Natural History, London, UK Photographer: John Chemsak Collection Location: Havana, Cuba 15948
|
_FSCA.jpg)
Institution: FSCA Florida State Collection of Arthropods, Gainesville, FL, USA Photographer: Mike Thomas 2514
|
_LGB.jpg)
Photographer: Larry G. Bezark 2515
|
|