_White_BMNH_Sri_Lanka_now_Zoodes_LGB.jpg)
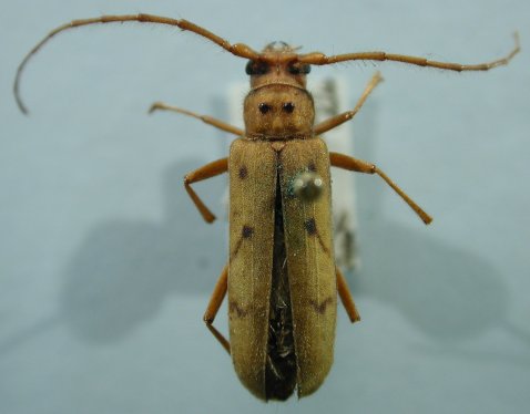
Stromatium maculatum White Specimen Type: holotype Institution: BMNH British Museum Natural History, London, UK Photographer: Larry G. Bezark Collection Location: Sri Lanka 48526
|
_White_BMNH_Sri_Lanka_now_Zoodes_LGB.jpg)
Stromatium maculatum White Specimen Type: holotype Institution: BMNH British Museum Natural History, London, UK Photographer: Larry G. Bezark Collection Location: Sri Lanka 48527
|