New Search Family, Subfamily and Tribe List

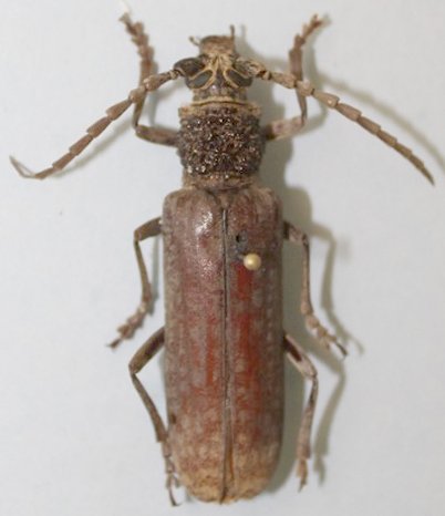
SubFamily Cerambycinae

Tribe Cerambycini
Rhytidodera robusta Gahan 1891

Photographer: Kariyanna Desai, Cerambycoidea Forum
Determiner: Gerard Chemin, Cerambycoidea Forum
Collection Location: Karnataka, India
90911

130425