New Search Family, Subfamily and Tribe List

SubFamily Cerambycinae

Tribe Cerambycini
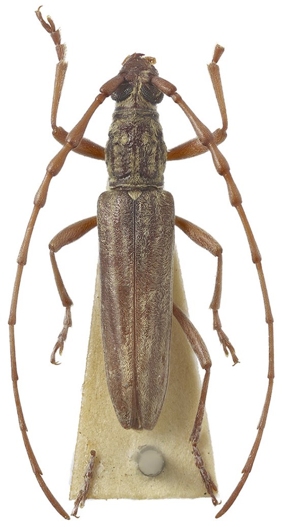
Dymasius minor Gahan 1906

Specimen Type: lectotype
Sex: m
Institution: BMNH British Museum Natural History, London, UK
Photographer: Alexandr Miroshnikov
Collection Location: Nilgiri Hills, Tamil Nadu, India
79410

130425