New Search Family, Subfamily and Tribe List

SubFamily Cerambycinae

Tribe Cerambycini
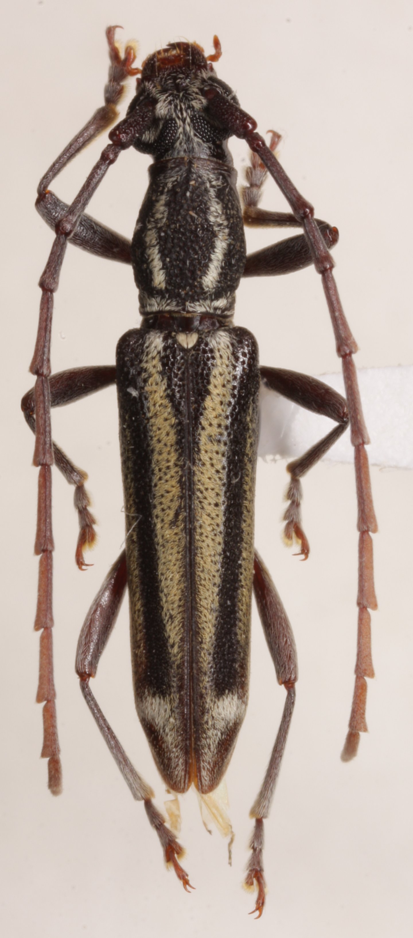
Microdiastus lepidus (Holzschuh, 2005)

Specimen Type: near this species
Sex: f
Institution: Heffern Collection
Photographer: Dan Heffern
71789

130425