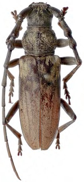
 Gahan BMNH Senegal now Diorthus.jpg)
Pachydissus vagus Gahan Specimen Type: holotype Sex: m Institution: BMNH British Museum Natural History, London, UK Photographer: Alexandr Miroshnikov Collection Location: Senegal 90972
|
 (Gahan) BMNH Nova Holland (incorrect locality) Mirosh pic.jpg)
Sex: f Photographer: Alexandr Miroshnikov Collection Location: Nova Holland (incorrect locality) 90919
|