 Gahan BMNH Old Calabar, Nigeria now Neoplocaederus KM.jpg)
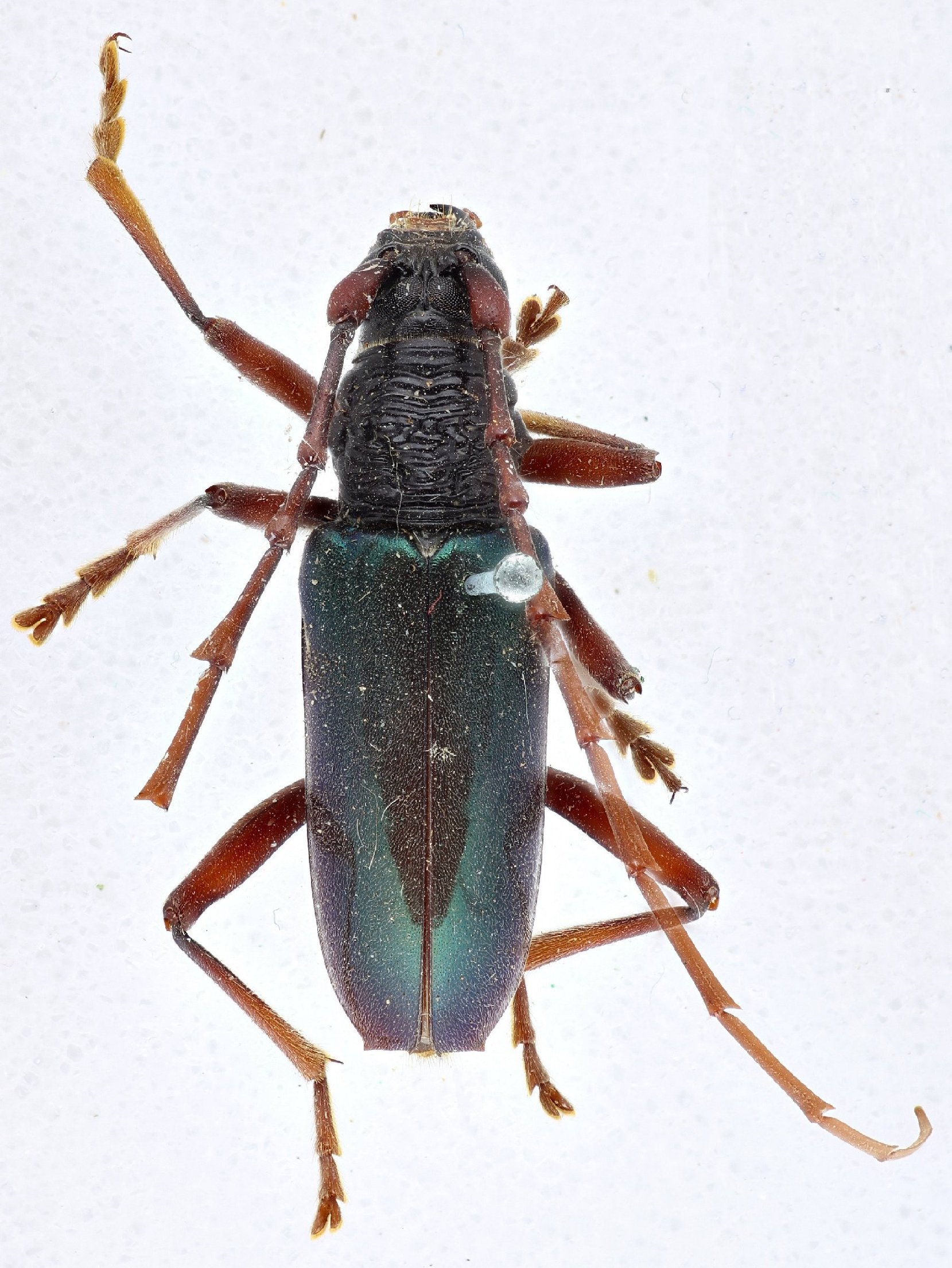
Plocederus basalis Gahan Specimen Type: holotype Institution: BMNH British Museum Natural History, London, UK Photographer: Keita Matsumoto Collection Location: Old Calabar, Nigeria 76283
|
 Gahan BMNH Old Calabar, Nigeria now Neoplocaederus KM.jpg)
Plocederus basalis Gahan Specimen Type: holotype Institution: BMNH British Museum Natural History, London, UK Photographer: Keita Matsumoto Collection Location: Old Calabar, Nigeria 76284
|