_Gahan_MBHN_Ethiopia_now_pachydiss_Adlbauer.jpg)
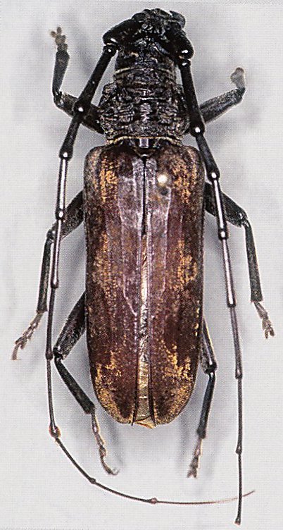
Taurotagus subauratus Gahan Specimen Type: holotype Sex: m Institution: BMNH British Museum Natural History, London, UK Photographer: Karl Adlbauer Collection Location: Ethiopia 73009
|
_Gahan_BMNH_(Pachydissus_subauratus_(Gahan)).jpg)
Taurotagus subauratus Gahan Specimen Type: holotype Sex: m Institution: BMNH British Museum Natural History, London, UK Determiner: Schwanfelder Coleopterologische Mitteilungen Collection Location: Ethiopia 63571
|