New Search Family, Subfamily and Tribe List

SubFamily Cerambycinae

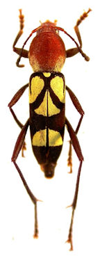
Tribe Clytini
Pirangoclytus jauffreti Martins & Galileo 2011

Specimen Type: holotype
Sex: f
Institution: MZSP Museu de Zoologia da Universidade de São Paulo, Brazil
Photographer: Antonio Santos-Silva
Collection Location: Ulianopolis, Para, Brazil
30609

130425