New Search Family, Subfamily and Tribe List

SubFamily Lamiinae

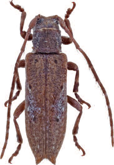
Tribe Xylorhizini
Microxylorhiza matsudai Hayashi 1974

Specimen Type: holotype
Sex: m
Institution: OMNH Osaka Museum of Natural History, Japan
Photographer: Tatsuya Niisato
Collection Location: Sungkang, Nantou Hsien, Taiwan
70818

130425