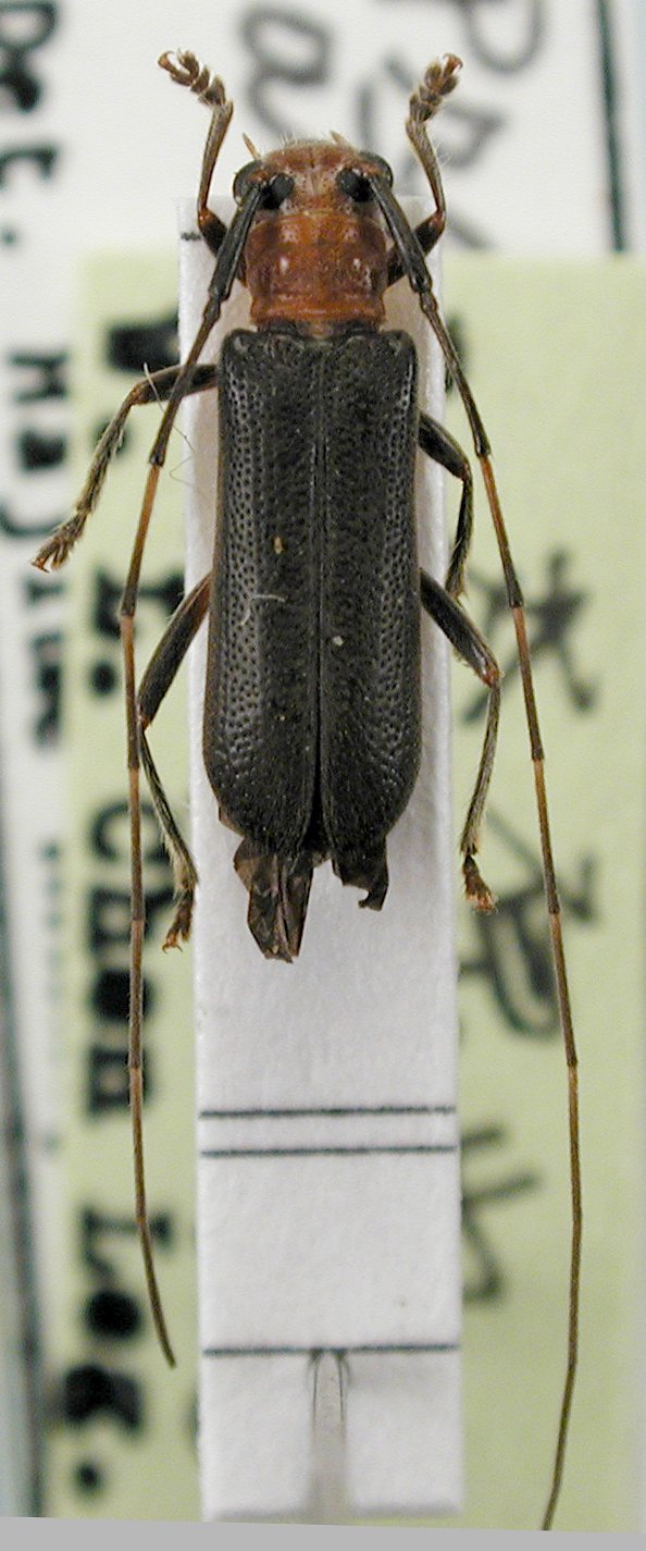
_atripennis_Pic_CAS.jpg)
Serixia atripennis Pic Institution: CAS California Academy of Sciences, San Francisco, CA, USA Photographer: Larry G. Bezark 60834
|
 det Hajime Nara Taiwan.jpg)
Institution: JCPC Jim Cope Collection, San Jose, California, USA now at CSCA, Sacramento Photographer: Larry G. Bezark Determiner: Hajime Nara Collection Location: Taiwan 97123
|