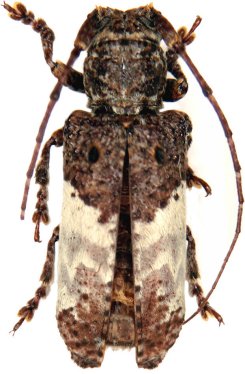
_(Pasc)_HL_pic.jpg)
Sthenias dorsalis Pascoe Specimen Type: holotype Institution: BMNH British Museum Natural History, London, UK Photographer: Meiying Lin Collection Location: India 41813
|
_Meiying.jpg)
Photographer: Meiying Lin 43031
|
_Phja-den.jpg)
Institution: LGBC Larry G. Bezark Collection, Sacramento, California, USA Photographer: Larry G. Bezark Collection Location: Phja-den, Cao Bang Province, Vietnam 41167
|
_Phja-den.jpg)
Institution: LGBC Larry G. Bezark Collection, Sacramento, California, USA Photographer: Larry G. Bezark Collection Location: Phja-den, Cao Bang Province, Vietnam 41168
|

Determiner: Pacific Insects Monograph Collection Location: Laos 58328
|
_CAS.jpg)
Institution: CAS California Academy of Sciences, San Francisco, CA, USA Photographer: Larry G. Bezark 58329
|
|