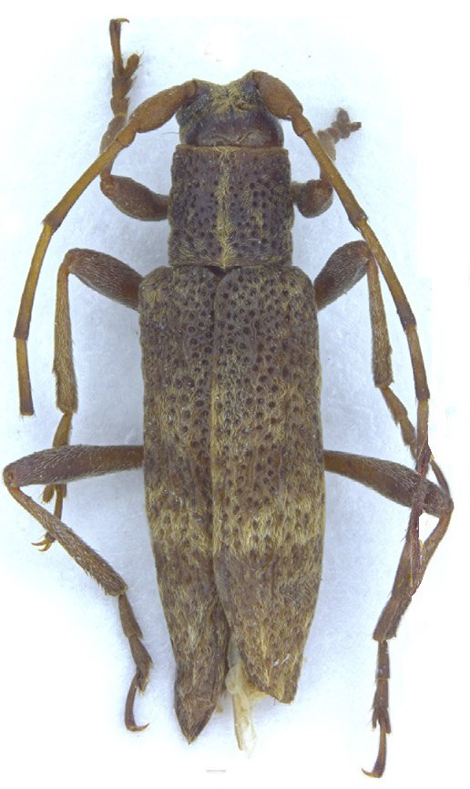
 Thomson MNHN Asia Orientale XG.jpg)
Specimen Type: holotype © MNHN Institution: MNHN Museum of Natural History Paris, France Photographer: Xavier Gouverneur, Cerambycoidea Forum Collection Location: Asia Orientale 101473
|
 Br de Jong RMNH Sikkim, India now Cornallis gracilipes AW.jpg)
Sybra longipes Breuning & de Jong Specimen Type: holotype Sex: m Institution: RMNH Rijksmuseum van Natuurlijke Historie, Leiden, Netherlands Photographer: Andreas Weigel Collection Location: Sikkim, India 75783
|