_Wang_Chiang_SAUC_Funing_boyi_Yunnan_China_Li_Chen_pic.jpg)
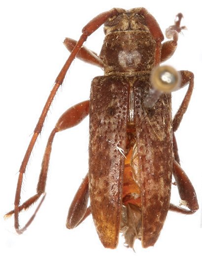
Specimen Type: holotype Sex: m Institution: SAUC Insect Collection of the Southwest Agricultural University, Chongqing, China Photographer: Li Chen Collection Location: Funing boyi, Yunnan Province, China 70700
|
_Wang_Chiang_SAUC_Funing_boyi_Yunnan_China_Li_Chen_pic.jpg)
Specimen Type: holotype Sex: m Institution: SAUC Insect Collection of the Southwest Agricultural University, Chongqing, China Photographer: Li Chen Collection Location: Funing boyi, Yunnan Province, China 70701
|