 Bates MNHN Santarem or Tefe, Brazil now pusillus Moure.jpg)
Neoclytus tapajonus Bates Specimen Type: syntype Sex: f Institution: MNHN Museum of Natural History Paris, France Photographer: JS Moure Collection Location: Santarem or Tefe, Brazil 17482
|

Institution: UCB Essig Museum of Entomology, Berkeley, California, USA Photographer: Larry G. Bezark Determiner: Chemsak Collection Location: Parana, Brazil 10402
|
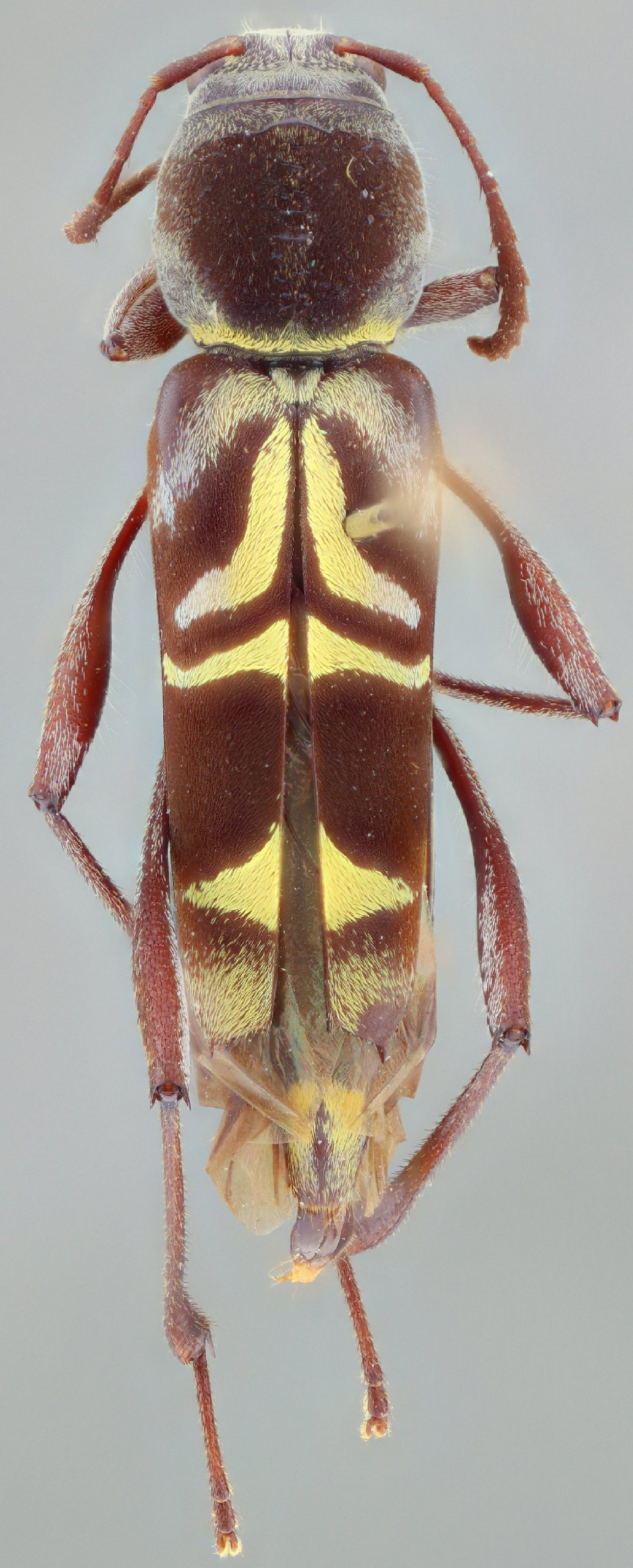
 Laporte MZSP Linhares, Espírito Santo, Brazil SS.jpg)
Sex: m Institution: MZSP Museu de Zoologia da Universidade de São Paulo, Brazil Photographer: Antonio Santos-Silva Collection Location: Linhares, Espírito Santo, Brazil 79943
|
 Laporte MZSP Rio Vermelho, Santa Catarina, Brazil SS.jpg)
Sex: f Institution: MZSP Museu de Zoologia da Universidade de São Paulo, Brazil Photographer: Antonio Santos-Silva Collection Location: Rio Vermelho, Santa Catarina, Brazil 79944
|
_Naranjo_Paraguay_LGB.jpg)
Institution: LGBC Larry G. Bezark Collection, Sacramento, California, USA Photographer: Larry G. Bezark Collection Location: Naranjo, Cordillera, Paraguay 27378
|
_Naranjo_Paraguay_LGB2.jpg)
Institution: LGBC Larry G. Bezark Collection, Sacramento, California, USA Photographer: Larry G. Bezark Collection Location: Naranjo, Cordillera, Paraguay 27379
|
_(Laporte_and_Gory)_Paraguay_Dep_Paraguari_Mehl.jpg)
Sex: f Photographer: Ole Mehl Collection Location: Department Paraguari, Paraguay 36840
|
_Paraguay_Dep_Caazapa_Mehl.jpg)
Photographer: Ole Mehl Collection Location: Department Caazapa, Paraguay 36841
|
_Faure_French_Guiana.jpg)
Neoclytus guianensis (Laporte & Gory) Photographer: Denis Faure Collection Location: French Guiana 22107
|
_Bolivia_Wappes_Photo.jpg)
Photographer: Jim Wappes Collection Location: Bolivia 10401
|

Photographer: Jean-Louis Giuglaris Collection Location: Kaw, French Guiana 28892
|