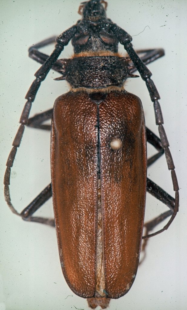
_Bates_MCZ.jpg)
Specimen Type: syntype Institution: MCZ Museum of Comparative Zoology, Harvard University, Cambridge, MA, USA 16011
|
 Bates MNHN Mt Irazu, Cartago, Costa Rica Moure.jpg)
Specimen Type: syntype Institution: MNHN Museum of Natural History Paris, France Photographer: JS Moure Collection Location: Mt Irazu, Cartago, Costa Rica 16012
|
_Bates_MCZ.jpg)
Specimen Type: syntype Institution: MCZ Museum of Comparative Zoology, Harvard University, Cambridge, MA, USA 16013
|
_Bates_MCZ.jpg)
Specimen Type: syntype Institution: MCZ Museum of Comparative Zoology, Harvard University, Cambridge, MA, USA 16014
|
_Bates_MCZ.jpg)
Specimen Type: syntype Institution: MCZ Museum of Comparative Zoology, Harvard University, Cambridge, MA, USA 16015
|
_Bates_BCA.jpg)
Sex: f Institution: BCA Biologia Centrali Americana 6483
|
_Bates_BCA.jpg)
Sex: m Institution: BCA Biologia Centrali Americana 6485
|
|