New Search Family, Subfamily and Tribe List

SubFamily Cerambycinae

Tribe Oemini
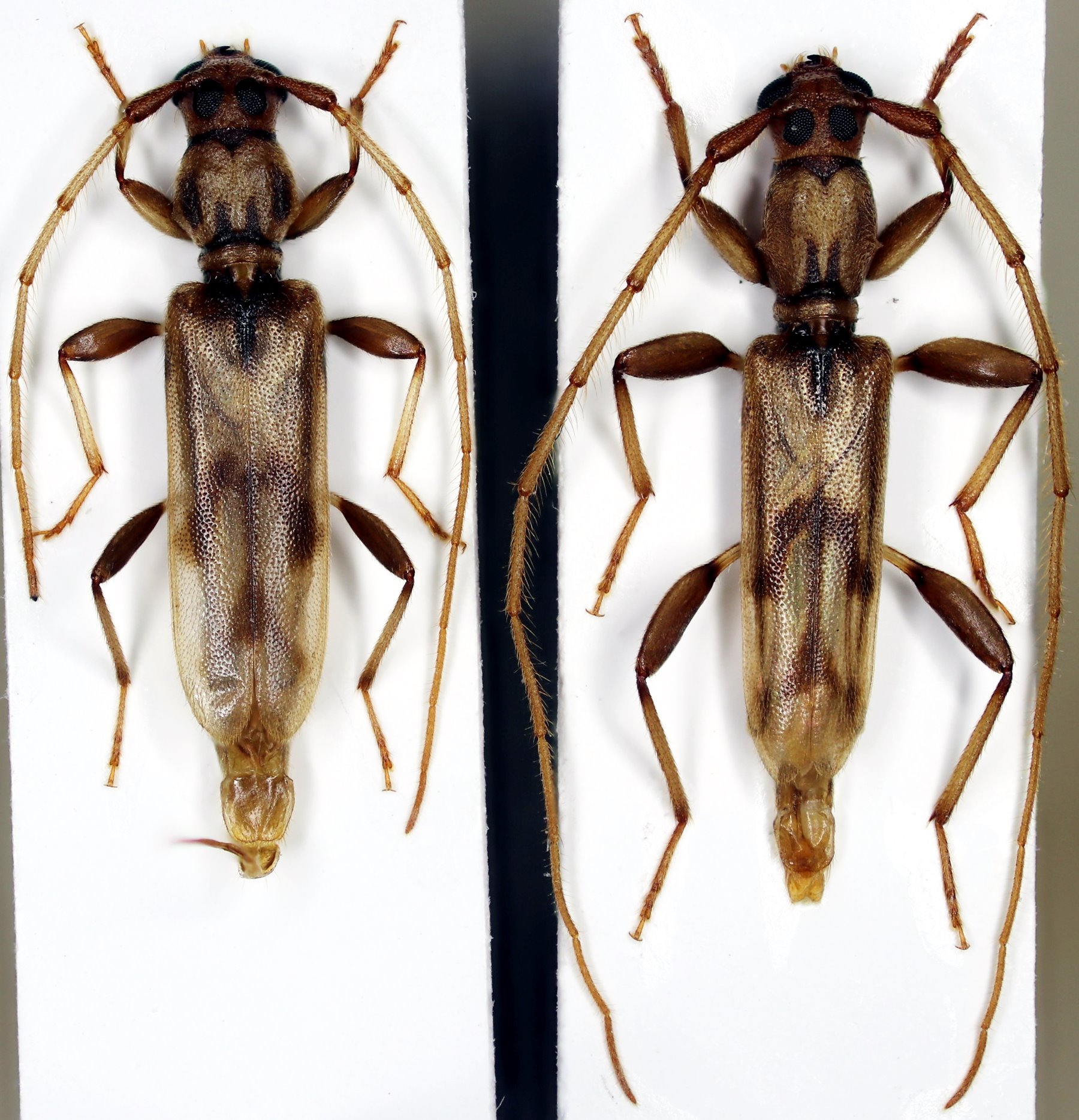
Tetraommatus insignis Gahan 1895

Photographer: Andre Skale, Cerambycoidea Forum
Collection Location: Bu Gia Map National Park, S Vietnam
98034

130425