New Search Family, Subfamily and Tribe List

SubFamily Lamiinae

Tribe Acanthocinini
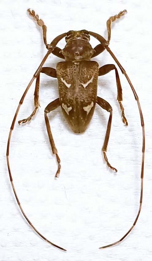
Myromexocentrus quadrimaculatus Hayashi 1983

Sex: m
Photographer: Wen-I Chou
Collection Location: Taitung City, Taiwan
71455


Sex: f
Determiner: Bulletin of the Osaka Jonan Women's Junior College
Collection Location: Kengting Park, Pingtung Hsien, Taiwan
54024

130425