New Search Family, Subfamily and Tribe List

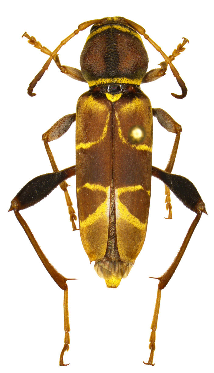
SubFamily Cerambycinae

Tribe Clytini
Neoclytus mucronatus vogti Linsley 1957

Photographer: Steve Lingafelter
Collection Location: Florida Canyon, Santa Cruz County, Arizona
76078


Photographer: Steve Lingafelter
Collection Location: Florida Canyon, Santa Cruz County, Arizona
76079


Photographer: Larry G. Bezark
2169

130425