New Search Family, Subfamily and Tribe List

SubFamily Cerambycinae

Tribe Thraniini
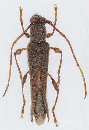
Thranius simplex fulvus Pu 1992

Sex: m
Photographer: Meiying Lin
Collection Location: Qinling Mountains, China
73460


Sex: f
Photographer: Meiying Lin
Collection Location: Qinling Mountains, China
73461

130425