
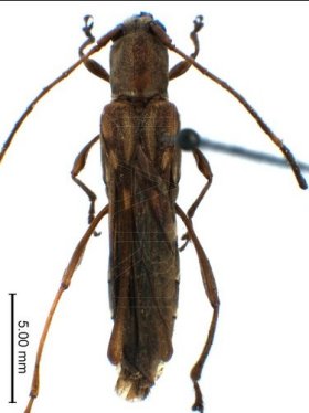
Institution: CAS California Academy of Sciences, San Francisco, CA, USA Photographer: Larry G. Bezark 64437
|

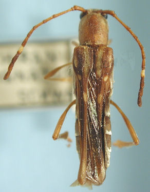
Institution: TARI Taiwan Agriculture Research Institute, Taichung Collection Location: Meiyuan, Taiwan 64435
|

Institution: TARI Taiwan Agriculture Research Institute, Taichung Collection Location: Meiyuan, Taiwan 64436
|
|