New Search Family, Subfamily and Tribe List

SubFamily Cerambycinae

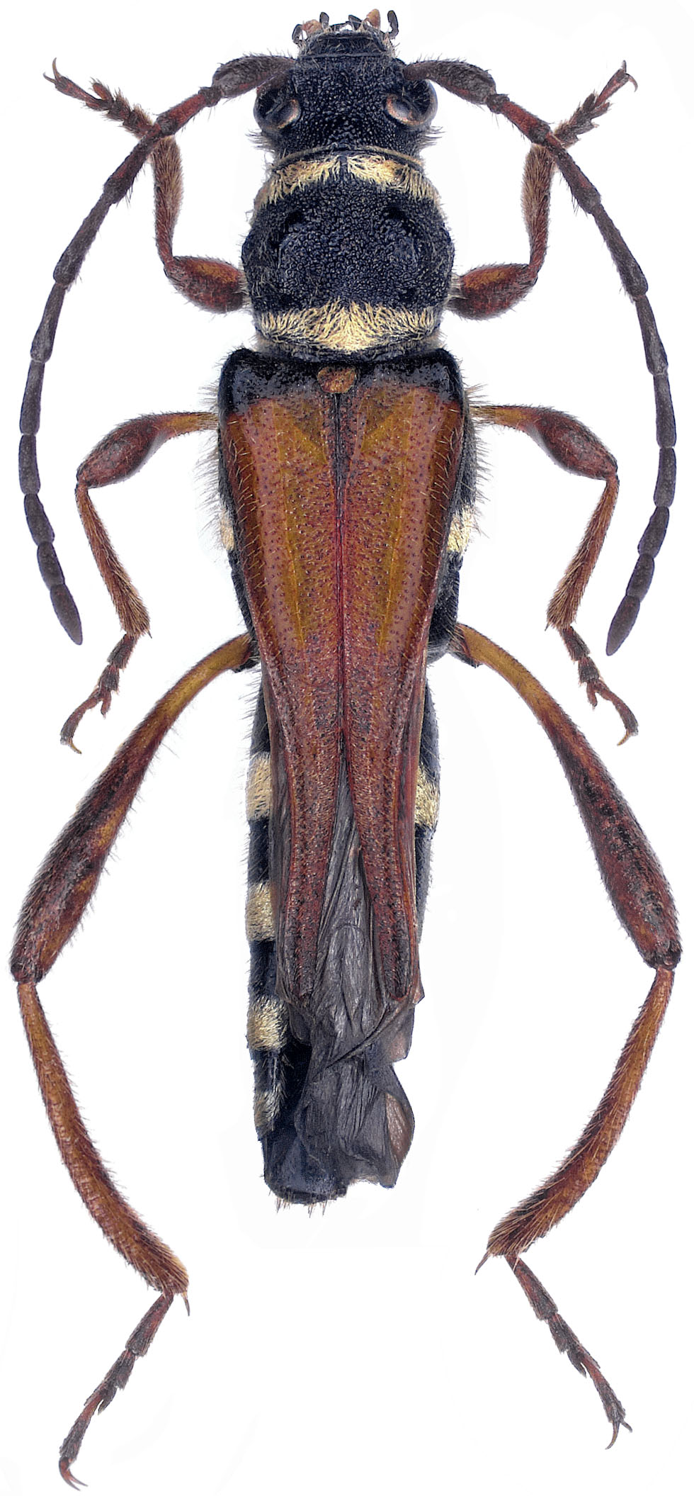
Tribe Stenopterini
Stenopterus flavicornis Kuster 1846

Photographer: Udo Schmidt
Collection Location: vic Sutomore, Bar Municipality, South Moravia, Montenegro
80032


Institution: LGBC Larry G. Bezark Collection, Sacramento, California, USA
Photographer: Larry G. Bezark
62173


Photographer: Udo Schmidt
Collection Location: Yugoslavia
62174

130425