New Search Family, Subfamily and Tribe List

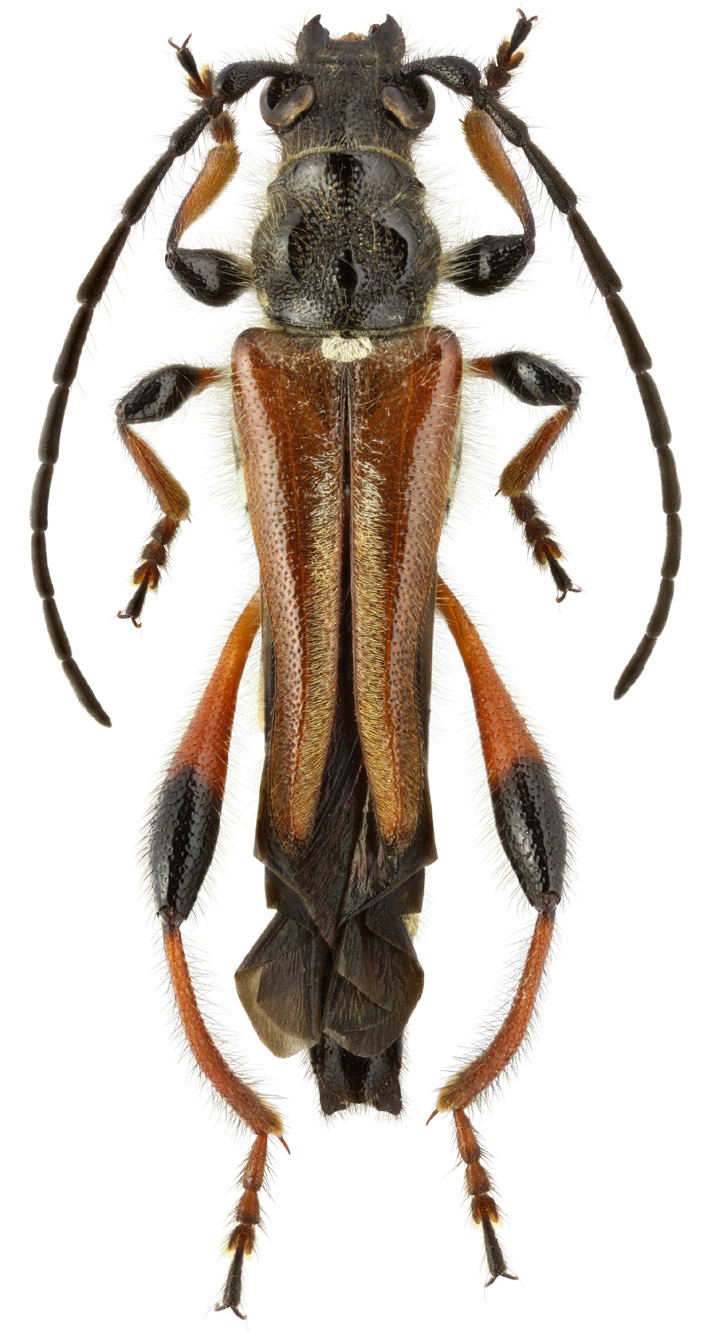
SubFamily Cerambycinae

Tribe Stenopterini
Stenopterus atricornis Pic 1891

Sex: mf
Photographer: Michal Hoskovec
Collection Location: Sidirokastro, Greece
62171


Sex: m
Photographer: Maxim E. Smirnov
Collection Location: Kabak nr Oludeniz, Fethiye District, Mugla Province, Turkey
80031

130425