_Holzschuh_N-Thailand_Chiang_Mai_Mt_Doi_Pui_=_Microdebilissa.jpg)
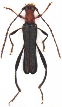
Euchlanis infirma Holzschuh Specimen Type: holotype Sex: m Institution: Holzschuh Collection Determiner: Schrift. Forstlichen Bundesversuchsanstalt Collection Location: Mt Do Pui, Chiang Mai, Thailand 39203
|
 Chieng Dao, NW Thailand det Ole Mehl JCPC LGB.jpg)
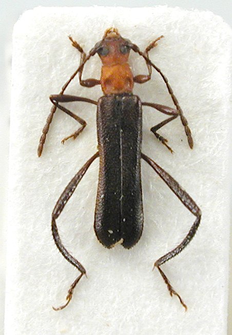
Institution: JCPC Jim Cope Collection, San Jose, California, USA now at CSCA, Sacramento Photographer: Larry G. Bezark Determiner: Ole Mehl Collection Location: Chieng Dao, NW Thailand 99070
|
 Chieng Dao, NW Thailand det Ole Mehl JCPC LGB.jpg)
Institution: JCPC Jim Cope Collection, San Jose, California, USA now at CSCA, Sacramento Photographer: Larry G. Bezark Determiner: Ole Mehl Collection Location: Chieng Dao, NW Thailand 99071
|
_Meiying.jpg)
Photographer: Meiying Lin 42922
|
|