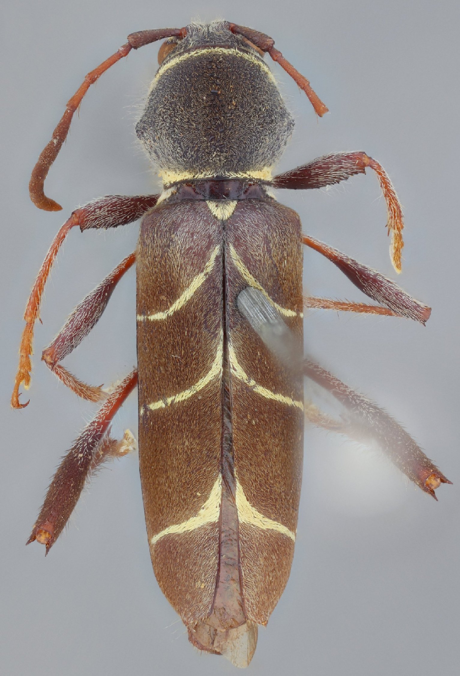
 Thomson MNHN Venezuela now Amyipunga Moure.jpg)
Neoclytus moritzii Thomson Specimen Type: syntype Institution: MNHN Museum of Natural History Paris, France Photographer: JS Moure Collection Location: Venezuela 101899
|
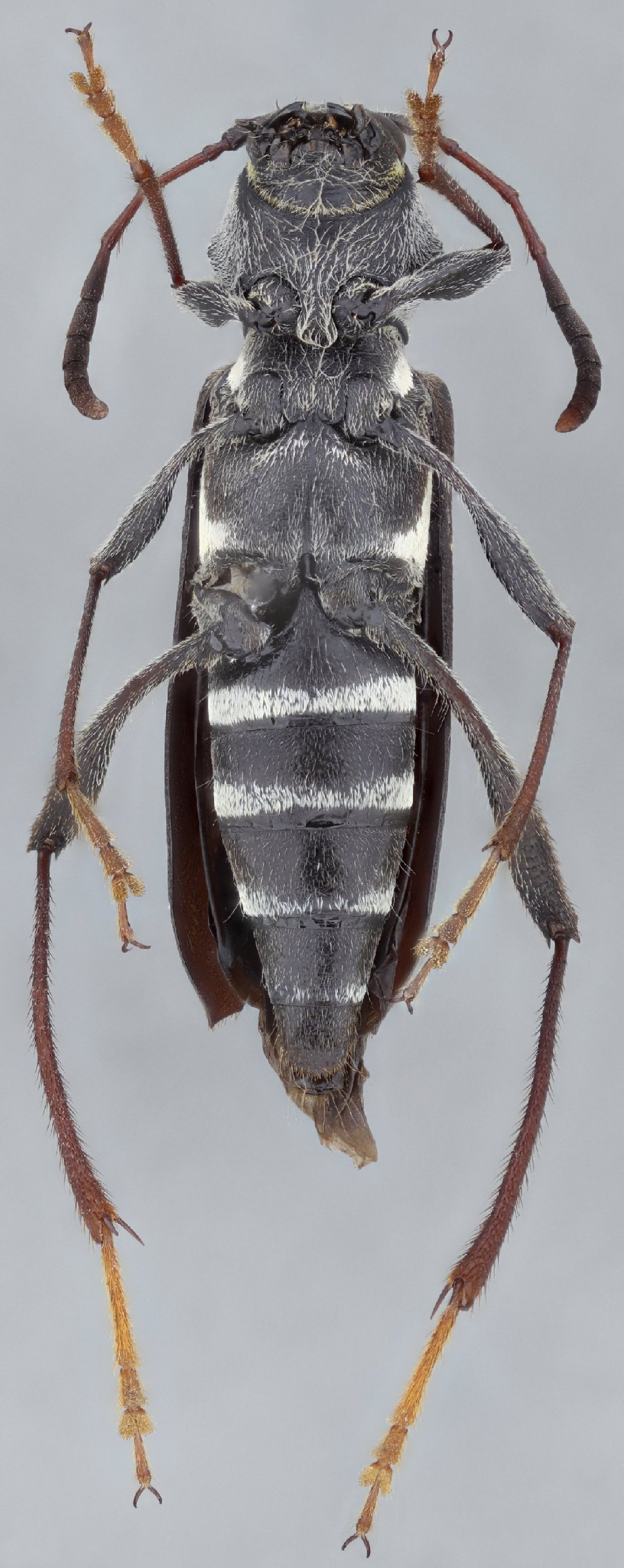
_Thomson_MNHN_FTH.jpg)
Neoclytus moritzii Thomson Specimen Type: syntype Institution: MNHN Museum of Natural History Paris, France Photographer: Frank T. Hovore Collection Location: Venezuela 17471
|
_Thomson_MZSP_Venezuela_SS.jpg)
Sex: f Institution: MZSP Museu de Zoologia da Universidade de São Paulo, Brazil Photographer: Antonio Santos-Silva Collection Location: Venzuela 73143
|
_Thomson_MZSP_Venezuela_SS.jpg)
Sex: f Institution: MZSP Museu de Zoologia da Universidade de São Paulo, Brazil Photographer: Antonio Santos-Silva Collection Location: Venzuela 73144
|
_Thomson_UPTC_Bosque_de_Eucalypto_Tunja_Boyaca_Colombia_SS.jpg)
Sex: f Institution: UPTC Univ Pedagogica y Tecnologica de Colombia, Tunja, Boyaca, Colombia Photographer: Antonio Santos-Silva Collection Location: Bosque de Eucalypto, Tunja, Boyaca, Colombia 73140
|
_Thomson_UPTC_Bosque_de_Eucalypto_Tunja_Boyaca_Colombia_SS.jpg)
Sex: f Institution: UPTC Univ Pedagogica y Tecnologica de Colombia, Tunja, Boyaca, Colombia Photographer: Antonio Santos-Silva Collection Location: Bosque de Eucalypto, Tunja, Boyaca, Colombia 73141
|
_Thomson_UPTC_Bosque_de_Eucalypto_Tunja_Boyaca_Colombia_SS.jpg)
Sex: f Institution: UPTC Univ Pedagogica y Tecnologica de Colombia, Tunja, Boyaca, Colombia Photographer: Antonio Santos-Silva Collection Location: Bosque de Eucalypto, Tunja, Boyaca, Colombia 73142
|
|