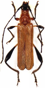
_Gressitt_Rond_BPBM_Nobuo_Ohbay.jpg)
Specimen Type: holotype Sex: m Institution: BPBM Bernice P. Bishop Museum, Honolulu, Hawaii, USA Photographer: Nobuo Ohbayashi Collection Location: Pakkading, Borikhane Province, Laos 44632
|
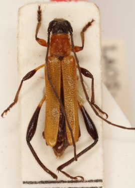
 Gress Rond Sayaboury, Sayaboury Province, Laos JCPC LGB.jpg)
Specimen Type: paratype Institution: JCPC Jim Cope Collection, San Jose, California, USA now at CSCA, Sacramento Photographer: Larry G. Bezark Determiner: Jim Cope Collection Location: Sayaboury, Sayaboury Province, Laos 51365
|
_CAS.jpg)
Specimen Type: paratype Institution: CAS California Academy of Sciences, San Francisco, CA, USA Photographer: Larry G. Bezark Collection Location: Pakkading, Borikhane Province, Laos 51496
|

Photographer: Meiying Lin 42846
|
|