New Search Family, Subfamily and Tribe List

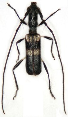
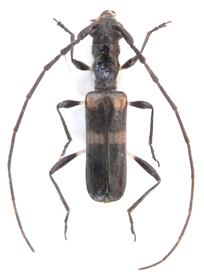
SubFamily Cerambycinae

Tribe Stenhomalini
Stenhomalus odai Niisato & Kinugasa 1982

Photographer: Meiying Lin
43077


Photographer: Xavier Gouverneur, Cerambycoidea Forum
Collection Location: Hua Phan, NE Laos
61106

130425