New Search Family, Subfamily and Tribe List

SubFamily Cerambycinae

Tribe Stenhomalini
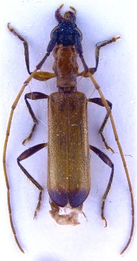
Stenhomalus coomani Gressitt 1951

Photographer: Andreas Weigel
Collection Location: SW Shanghai, Zhegiang Province, China
61086

130425