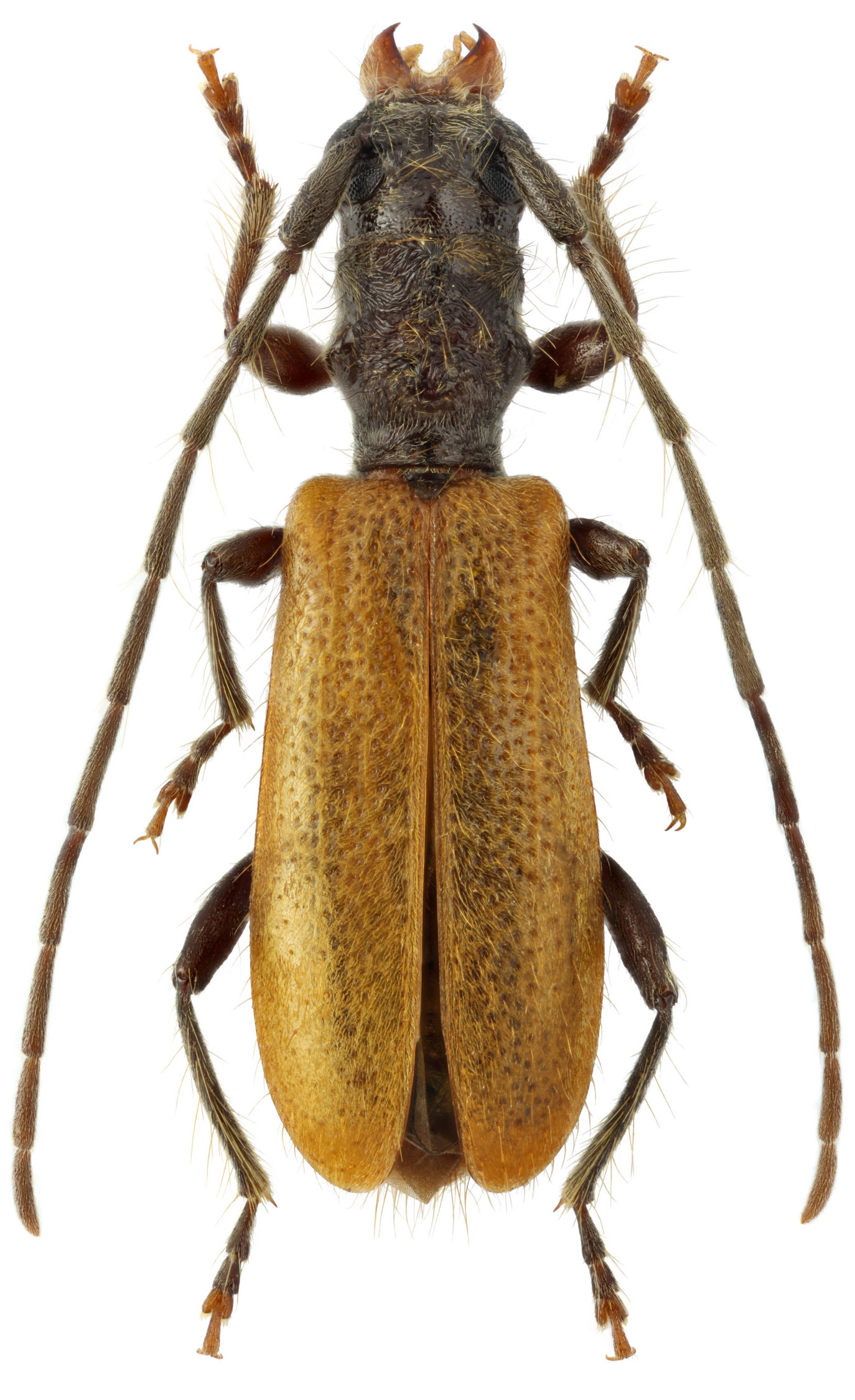
_Panagitsa_Arkadia_Peloponnesia_Greece_Slutsky.jpg)
Photographer: Aleksandr Slutsky Collection Location: Panagitsa Arkadia, Peloponnesia, Greece 75488
|
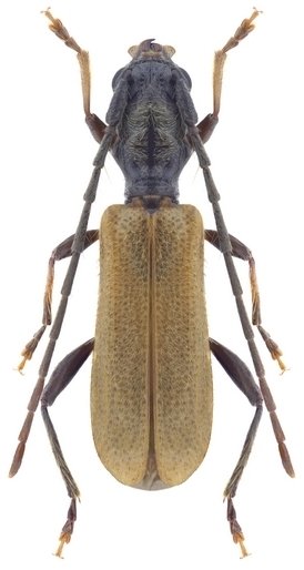
_(Kraatz)_Greece_SW_Corfu_Hoskovec.jpg)
Sex: mf Photographer: Michal Hoskovec Collection Location: SW Corfu, Greece 61076
|

Institution: LGBC Larry G. Bezark Collection, Sacramento, California, USA Photographer: Larry G. Bezark 61075
|
 Plastovce, Slovakia Boza Sedlacek.jpg)
Photographer: Boza & Sedlacek Collection Location: Plastovce, Slovakia, Czech Republic 76710
|

Photographer: Maxim E. Smirnov Collection Location: vic Ulupinar Village, Kemer District, Antalya Province, S Turkey 80004
|
|