_Chiang_Chen_SAUC_Mt_Simianshan_Jiangjin_Co_Choingqing_China_Li_Chen_pic.jpg)
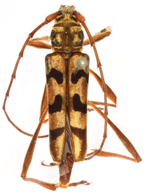
Specimen Type: holotype Sex: f Institution: SAUC Insect Collection of the Southwest Agricultural University, Chongqing, China Photographer: Li & Chen Collection Location: Mt Simianshan, Jiangjin County, Chongqing Province, China 70439
|
_Chiang_Chen_SAUC_Mt_Simianshan_Jiangjin_Co_Choingqing_China_Li_Chen_pic.jpg)
Specimen Type: holotype Sex: f Institution: SAUC Insect Collection of the Southwest Agricultural University, Chongqing, China Photographer: Li & Chen Collection Location: Mt Simianshan, Jiangjin County, Chongqing Province, China 70440
|