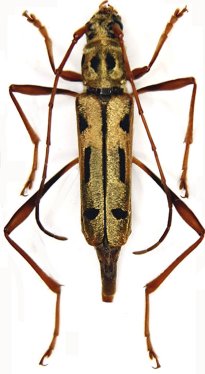
_Holzschuh_N_Thailand_Chiang_Mai_Mt_Doi_Pui.jpg)
Specimen Type: holotype Sex: m Institution: Holzschuh Photographer: Carolus Holzschuh Determiner: Schrift. Forstlichen Bundesversuchsanstalt Collection Location: Mt Doi Pui, Chiang mai, Thailand 31156
|

Photographer: Meiying Lin 41802
|
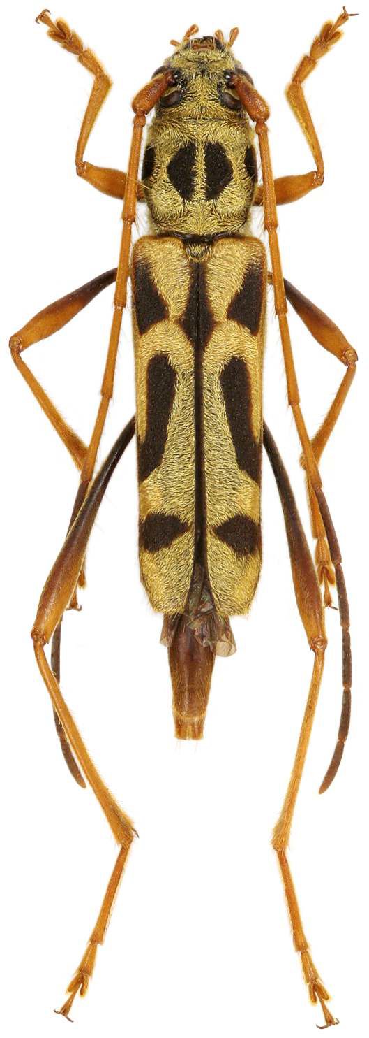
_Holzschuh_Soppong_Mae_Hong_Son_Prov_Thailand_Vikt.jpg)
Sex: m Photographer: Petr Viktora Collection Location: Soppong, Mae Hong Son Province, Thailand 71221
|
_Holzschuh_Soppong_Mae_Hong_Son_Prov_Thailand_Vikt.jpg)
Sex: f Photographer: Petr Viktora Collection Location: Soppong, Mae Hong Son Province, Thailand 71222
|
|