New Search Family, Subfamily and Tribe List

SubFamily Cerambycinae

Tribe Trachyderini Trachyderina
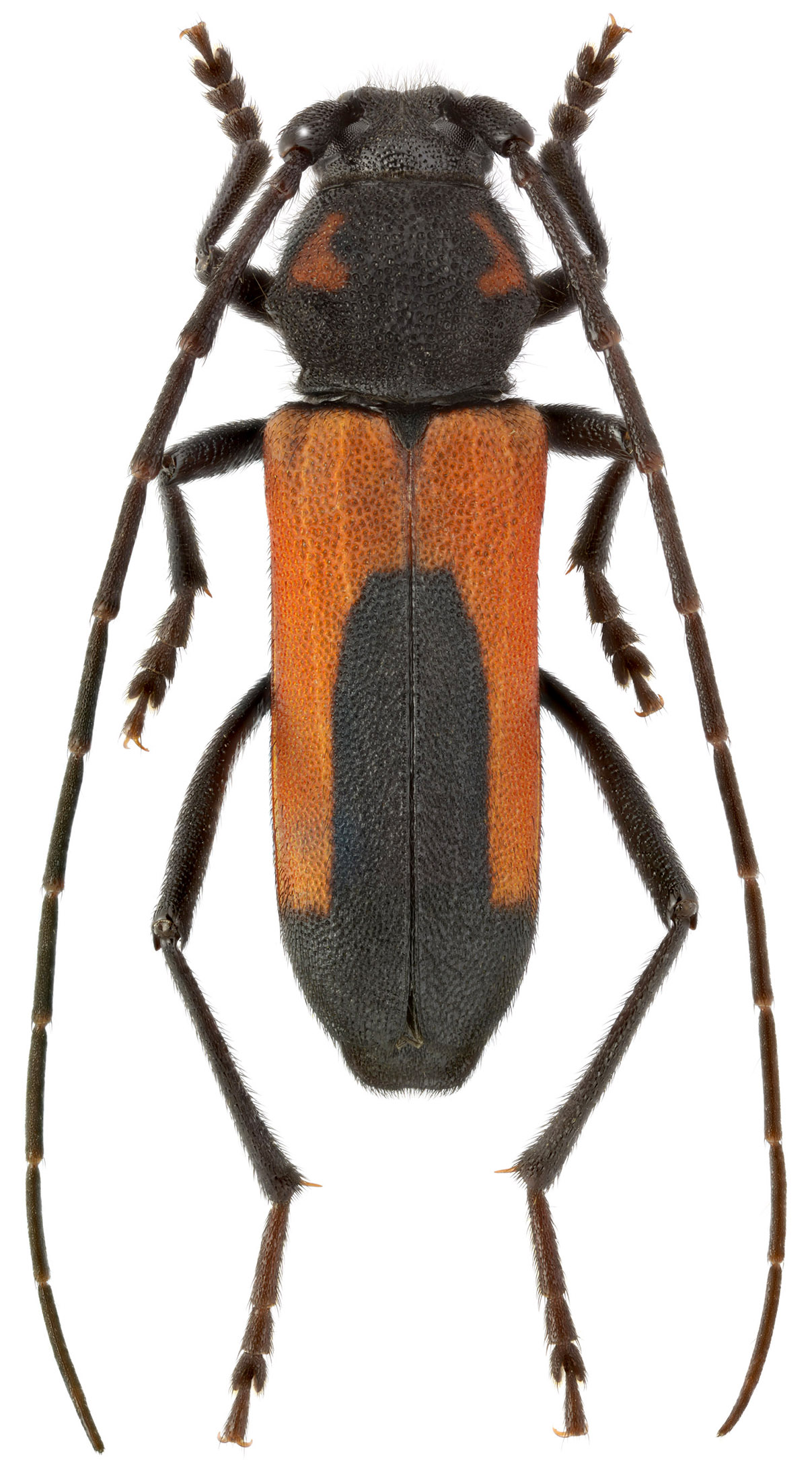
Purpuricenus interscapillatus nudicollis Demelt 1968

Sex: m
Photographer: Milan Slama
Collection Location: Cyprus
59782


Sex: f
Photographer: Milan Slama
Collection Location: Turkey
76171


Sex: f
Photographer: Milan Slama
Collection Location: Cyprus
76172


Photographer: Maxim E. Smirnov
Collection Location: vic Icmeler, Marmaris District, Mugla Province, Aegean Region, Turkey
79923

130425