New Search Family, Subfamily and Tribe List

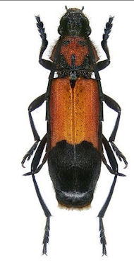
SubFamily Cerambycinae

Tribe Trachyderini Trachyderina
Purpuricenus desfontainii inhumeralis Pic 1891

Photographer: Wolfgang Heinkel
59730


Photographer: Udo Schmidt
Collection Location: Termessos, Antalya, Turkey
59731


Photographer: Michal Hoskovec
59732

130425