New Search Family, Subfamily and Tribe List

SubFamily Cerambycinae

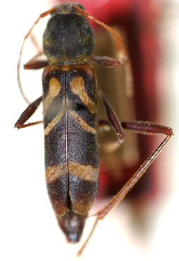
Tribe Clytini
Cotyclytus distinctus (Zajciw, 1963)

Neoclytus distinctus Zajciw
Specimen Type: holotype
Sex: f
Institution: MNRJ Museu Nacional Universidade do Rio Janeiro, Brazil
Photographer: Steve Lingafelter
Collection Location: Bico do Papagaio, Rio de Janeiro, Brazil
10349

130425