_Melzer_MZSP_Itatiaia_RJ_Braz_=_Cotyclytus_SS.jpg)
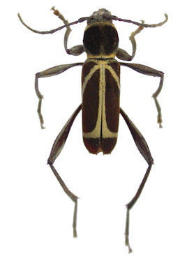
Neoclytus discretus Melzer Specimen Type: holotype Institution: MZSP Museu de Zoologia da Universidade de São Paulo, Brazil Photographer: Antonio Santos-Silva Collection Location: Itatiaia, Rio de Janeiro, Brazil 30635
|

Specimen Type: holotype Institution: MZSP Museu de Zoologia da Universidade de São Paulo, Brazil Collection Location: Itatiaia, Rio de Janeiro, Brazil 23051
|