
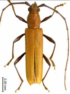
Sex: f Institution: LGBC Larry G. Bezark Collection, Sacramento, California, USA Photographer: Larry G. Bezark Collection Location: Jinta, Tsushima Island, Japan 31627
|

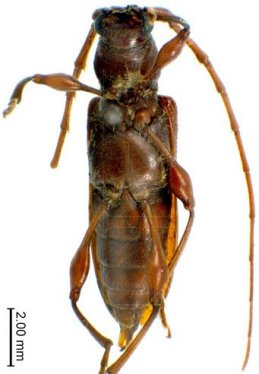
Sex: mf 31628
|

Institution: TARI Taiwan Agriculture Research Institute, Taichung Determiner: Mitono Collection Location: Hikosan, Kyushu, Japan 39494
|
_TARI.jpg)
Institution: TARI Taiwan Agriculture Research Institute, Taichung Determiner: Mitono Collection Location: Hikosan, Kyushu, Japan 39495
|
_Bates_TARI_Hikosan_Kyushu_Japan.jpg)
Institution: TARI Taiwan Agriculture Research Institute, Taichung Determiner: Mitono Collection Location: Hikosan, Kyushu, Japan 39496
|
_Bates_TARI_Hikosan_Kyushu_Japan.jpg)
Institution: TARI Taiwan Agriculture Research Institute, Taichung Determiner: Mitono Collection Location: Hikosan, Kyushu, Japan 39497
|

Institution: TARI Taiwan Agriculture Research Institute, Taichung Determiner: Mitono Collection Location: Hikosan, Kyushu, Japan 39498
|
_Bates_TARI_Hikosan_Kyushu_Japan.jpg)
Institution: TARI Taiwan Agriculture Research Institute, Taichung Determiner: Mitono Collection Location: Hikosan, Kyushu, Japan 39499
|
|