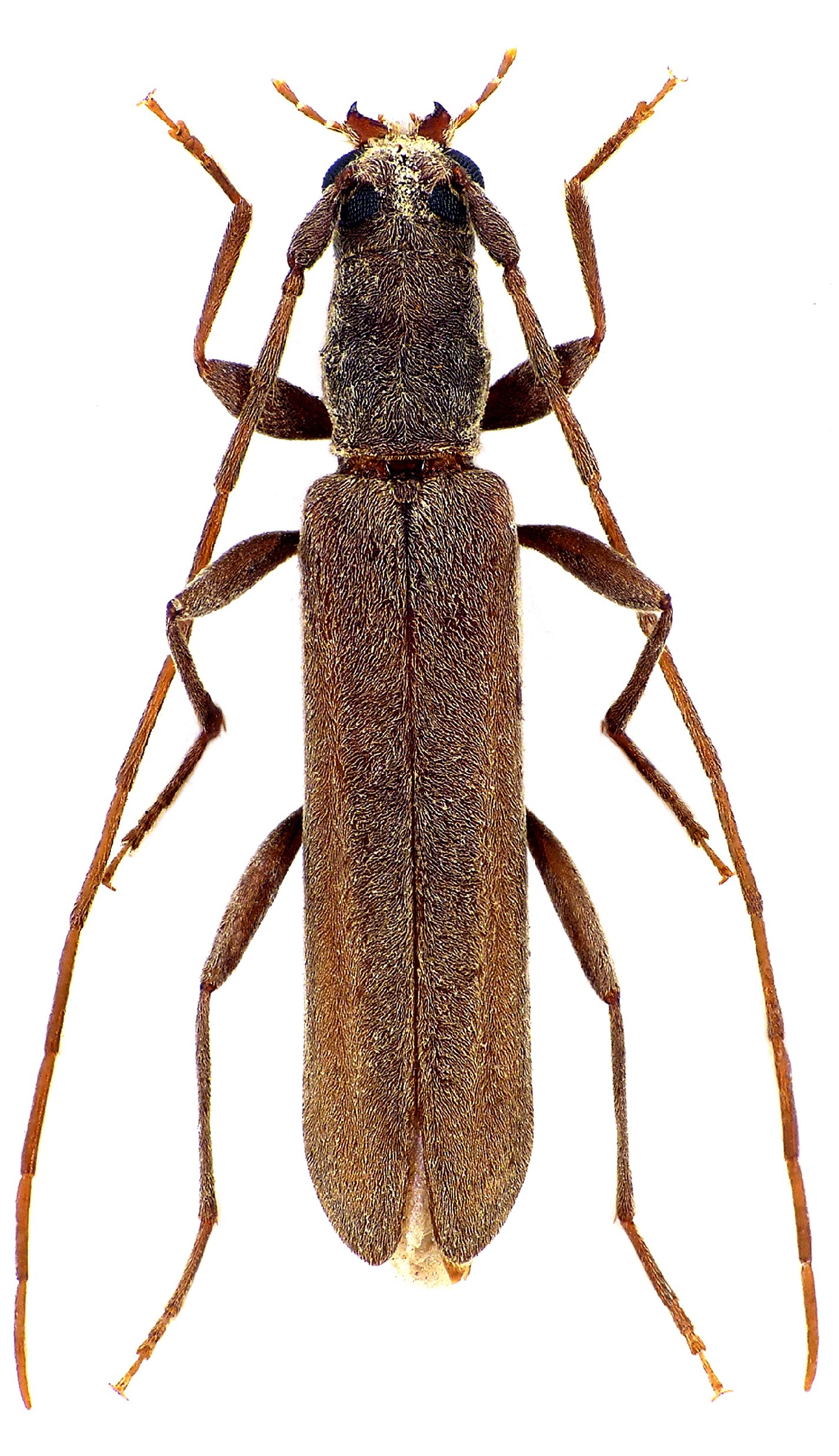
_Holzschuh_CHS_Yemen_Sokotra_Island_Calantia.jpg)
Specimen Type: holotype Sex: m Institution: Holzschuh Collection Determiner: Entomologica Basiliensa et Collectionis Frey Collection Location: Socotra Island, Yemen 51397
|

Photographer: David Navratil Collection Location: vic Mirbat, Wadi Hinna, Dhofar Governorate, S Oman 79692
|