_Holzschuh_Coll.jpg)
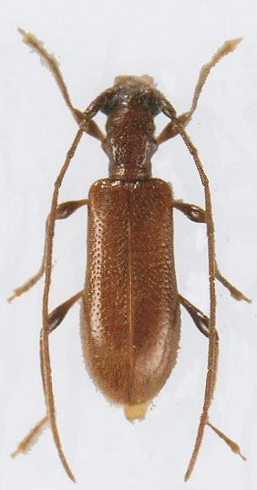
Specimen Type: holotype Sex: f Photographer: Lubo Dembický Collection Location: 6 km E Xunyangaba, Qinling Shan, Shaanxi, China 73399
|
_Holzschuh_China_Shaanxi_Qinling_Shan_6km_E_Xunyangaba.jpg)
Specimen Type: holotype Sex: f Institution: Holzschuh Collection Collection Location: 6 km E Xunyangaba, Qinling Shan, Shaanxi, China 54940
|