New Search Family, Subfamily and Tribe List

SubFamily Cerambycinae

Tribe Obriini
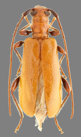
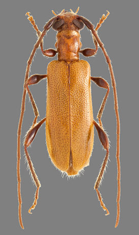
Obrium cantharinum cantharinum (Linnaeus, 1767)

Callidium cantharinum Linnaeus
Specimen Type: holotype
Institution: HMUG United Kingdom, Glasgow, Glasgow University, Hunterian Museum
34262


Sex: m
Photographer: Szczepan Ziarko
Collection Location: Tarnew, Poland
54934


Sex: m
Photographer: Boza & Sedlacek
Collection Location: Strizovice, Moravia, Czech Republic
54935


Sex: f
Photographer: Boza & Sedlacek
Collection Location: Strizovice, Moravia, Czech Republic
75950

130425