_Bleuzen_IZAFM_La_Morita_Tachira_Venez.jpg)
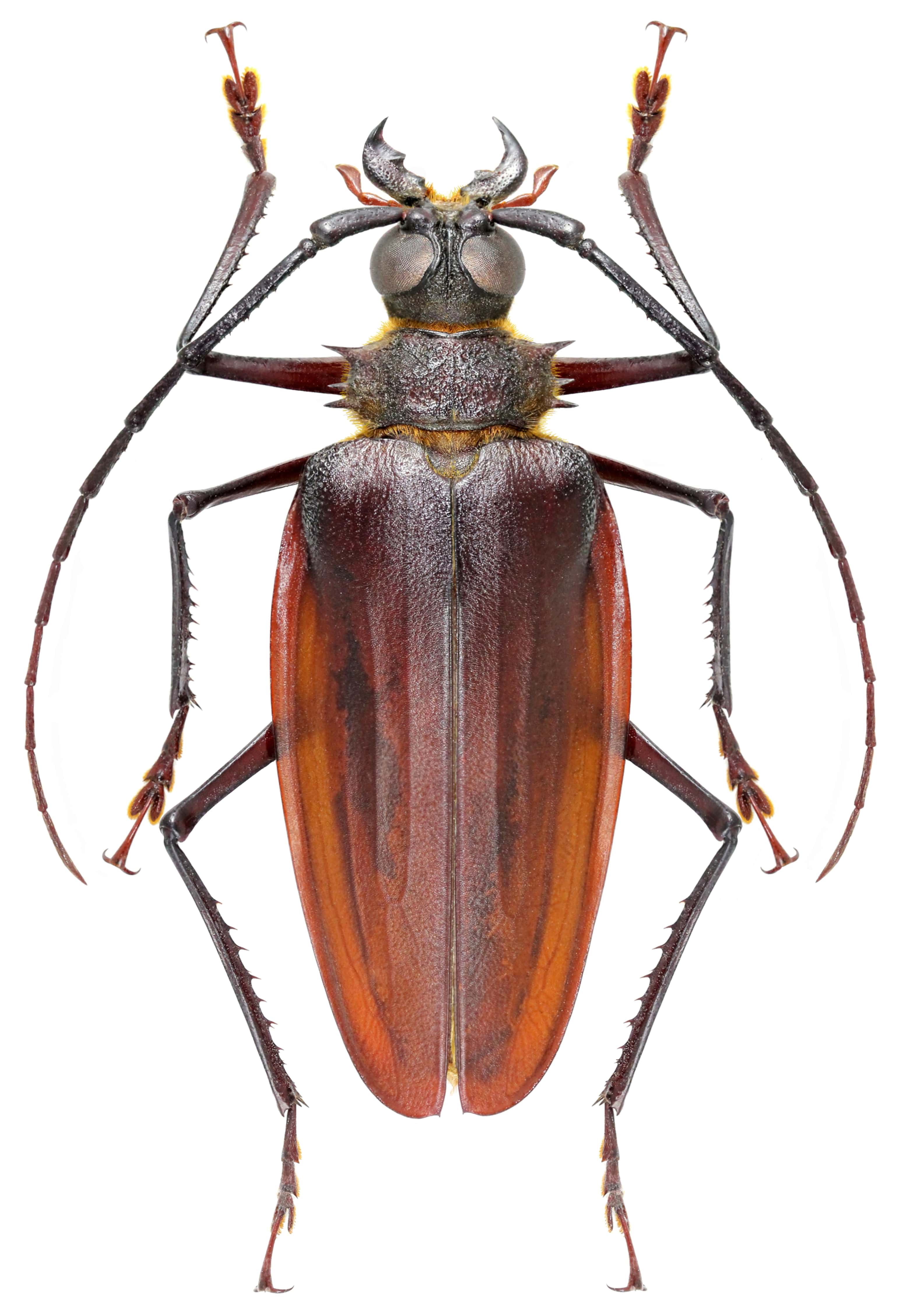
Specimen Type: holotype Sex: m Institution: IZAFM Instituto de Zoología Agrícola, Faculdad de Agronomía de Maracay, Venezuela Collection Location: La Morita, Tachira, Venezuela 20856
|
_Bleuzen_IZAFM_La_Morita_Tachira_Venez.jpg)
Specimen Type: holotype Sex: m Institution: IZAFM Instituto de Zoología Agrícola, Faculdad de Agronomía de Maracay, Venezuela Collection Location: La Morita, Tachira, Venezuela 20857
|